Darilaut – Siklon Tropis (Tropical Cyclone Maila telah menguat menjadi kategori 5 di Laut Solomon, Samudra Pasifik Selatan, pada Rabu (8/4) pagi.
Ini adalah sistem yang berbahaya yang dapat membawa angin kencang yang merusak, curah hujan lebat, gelombang badai, laut yang bergelombang. Dampaknya antara lain berupa tanah longsor dan banjir bandang.
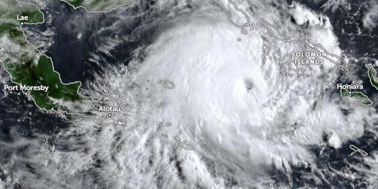
Saat ini, Maila masih bergerak lambat di Laut Solomon dengan jarak 435 barat-barat laut Honiara dan 614 km timur-timur laut Alotau.
Intensitas kategori 5 pada skala siklon tropis Australia tersebut mengemas “angin berkelanjutan di dekat pusat 215 kilometer per jam dengan hembusan angin hingga 295 kilometer per jam,” kata Biro Meteorologi (Bureau of Meteorology, BOM) Australia, dalam bulletin informasi yang dikeluarkan Rabu pukul 04.00 waktu setempat.
Maila diperkirakan tetap jauh dari pantai Queensland selama beberapa hari ke depan, kata Biro Meteorologi, akan tetapi mulai akhir pekan ini Maila diperkirakan akan bergerak menuju pantai Queensland Utara Jauh.
Mungkin akan melintasi Semenanjung Cape York selama akhir pekan atau awal minggu depan, kata Biro Meteorologi.
Pusat Peringatan Topan Gabungan (JTWC) mengatakan Maila terletak 1376 km timur laut Cairns, Australia, dan telah bergerak ke arah barat laut dengan kecepatan 7 km per jam (4 knot) selama 6 jam terakhir.




