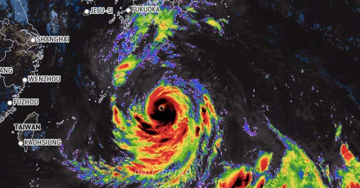
Darilaut – Kedutaan Besar Amerika Serikat (AS) di Tokyo mengeluarkan peringatan Topan Super Nanmadol bagi warga negara AS yang berada di Jepang.
Warga AS di Prefektur Okinawa dan daerah Kyushu diminta untuk selalu memantau media berita lokal dan mengikuti panduan dari pejabat pemerintah prefektur.
Saat Topan Super Nanmadol berbelok ke timur, yang tinggal di Jepang tengah dan timur harus tetap waspada.
Warga AS juga diminta untuk melakukan pembaruan informasi dari Badan Meteorologi Jepang atau Japan Meteorological Agency (JMA) dan Pusat Peringatan Siklon Tropis Bersama atau Joint Typhoon Warning Center (JTWC) Angkatan Laut AS yang dapat ditemukan secara online.
“Jika mengungsi, para pengungsi diimbau untuk mematuhi anjuran mitigasi COVID-19,” kata Kedutaan dalam Informasi Darurat untuk Warga Negara Amerika yang dikeluarkan Sabtu (17/9).
Topan Super Nanmadol terus berlanjut menuju Prefektur Okinawa dan Kyushu.
Selain membawa hujan lebat dan angin kencang ke daerah Kyushu, Topan Super Nanmadol akan berbelok ke timur membawa hujan lebat ke daerah Kansai sebelum menuju ke arah timur Jepang.
Menurut pejabat Jepang, Peringatan Topan Khusus untuk Topan Super Nanmadol adalah yang pertama kalinya peringatan topan khusus dikeluarkan di luar wilayah Okinawa.





Komentar tentang post